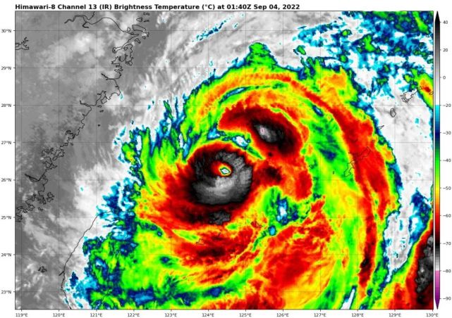
停止本日上午10点,台风“轩岚诺”中央间隔浙江省朱家尖岛南偏东方向约460公里,强度为15级,比1天前增长了一级,如今环境看上去比预期的会差一点,但其风力还是在徐徐加强中,有大概还会重新占上16级,再次成为超强台风。 “轩岚诺”强度不小,离我国沿海也不远,不外在已往的一天中,其西边的我国沿海大部地区都是光刮风,不下雨,从云图看,“轩岚诺”西北面比力干,只有正火线的上海宁波方向有一点雨带,而浙江南部沿海和福建东部沿海,只见狂风召唤,不见滴雨降落。 (路径已经会集) 光于“轩岚诺”的路径,前两天不停都有略微的西调,而本日上午,岂论EC还是gfs都做了往东规复。以是如今看,大概率“轩岚诺”是不会在我国沿海登岸了,如今的未知数就是它将来是否会登岸韩国,还是直接走对马海峡进入日本海。 尚有一个值得注意的征象就是“轩岚诺”在影响过我国华东沿海之后,将来进入日本海的“轩岚诺”很有大概还会继承影响我国东北地区,5-6日黑龙江东部大概会出现大雨。 只管台风“轩岚诺”登岸我国机遇不大,其西面比力干枯,但由于环流巨大,且北上之后还会和冷氛围联合,产生的风雨波还是不容小觑的。 “轩岚诺”西北部比力禿,云层和雨水紧张会集在南部和东北部。 本日上午11点左右的反射图,可以看出,“轩岚诺”固然离我们不远,其五流也很大,但是西北部裸露严肃,我国近岸多风,少雨。 路径聚集看,各国家和地区的预判根本同一了,只有在强度上尚有肯定的分歧,如今中国和韩国上望16级,日本的预报则保持15级。 EC的具体数据,5日03Z间隔我国宁波上海近来。 6日00Z大概率登岸韩国。 进入日本海后“轩岚诺”将加速北上,从这张图看,对黑龙江省的影响比力大。 这张图是GFS预报5日的位置图,整个华东险些都会受大风影响,但降雨大概会会集在北部。 末了,本日破晓,在硫黄岛东北天生了91W,这个扰动不可小视,将来大概有机遇成台,但是路径和强度,还须要继承观察。 |

专注IT众包服务
平台只专注IT众包,服务数 十万用户,快速解决需求

资金安全
交易资金托管平台,保障资 金安全,确认完成再付款

实力商家
优秀软件人才汇集,实力服务商入驻,高效解决需求

全程监管
交易过程中产生纠纷,官方100%介入受理,交易无忧

微信访问
手机APP
关于我们|广告合作|联系我们|隐私条款|免责声明| 时代威客网
( 闽ICP备20007337号 ) |网站地图
Copyright 2019-2024 www.eravik.com 版权所有 All rights reserved.


